Weekly Summary--Week 7 (05/08/20)

This week's summary is dedicated to Ursula's sister Margot, who we want very much to come to Maui for summer 2006.

Finally!

Things are starting to change around. Conditions continue to improve. As a result we've been able to dive more at our alternate site of Kuamo'o. We've seized every opportunity.

This is because the diving here at Honokowai is still poor, even with improved conditions. The waters at Reef 2 remain milky, "improved conditions" here simply meaning less milky.

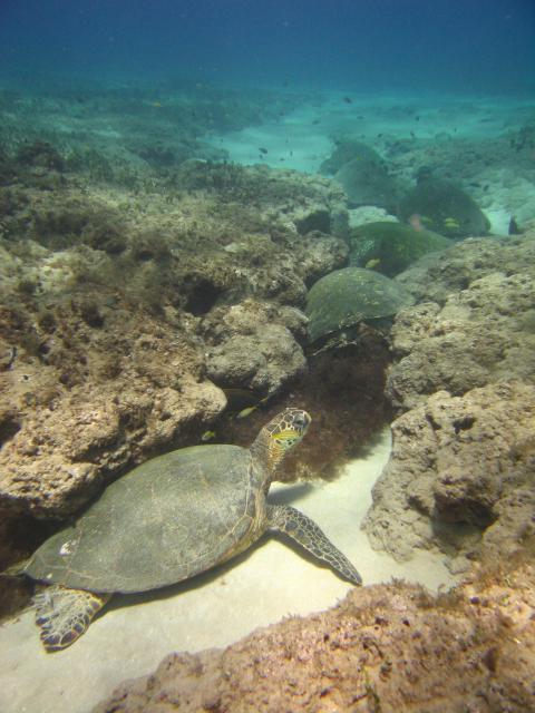
It's the full moon, which brings strong currents. Honu, being smart about such things, simply hunker down and snooze when the current starts ripping. This makes for some rather humdrum dives here.


Healthy and hunkered down
42K JPEG
Fetches a 42K JPEG

It's wonderful to see honu without fibropapilloma and in robust health, most definitely--but it also means there's little learning going on for us.

That's where the Kuamo'o dive site comes in. The bad news is that there's significantly more FP there. It's also where we see the worst cases.

The good news is that already after just our third summer of observation, we've already identified several regression cases. Happily, the pattern of improvement on the fibropapilloma front that we've seen at Honokowai looks like it might apply to this alternate dive site.

There are far more turtles there too. Far more healthy corals. Far, far more fish. Far more of everything than Honokowai.

Fetches a 31K JPEG

Honu hovering over Kuamo'o
31K JPEG

Speaking of far more fish...

Another shark sighting

This week on a dive at Reef 2, we were photographing Ursula posing with ummm... a lump of something a honu had already finished with. (We're still trying for the perfect Turtle Turd Picture.)

Fetches a 67K JPEG

Not yet the perfect Turtle Turd Picture
67K JPEG

After the posing was over, Peter spotted a resting turtle almost immediately, and swam to record its profiles for our database. We were both below the reef onto the sand flats. Knowing that Peter would be preoccupied, Ursula kicked up to look for a turtle of her own.

When she did this, she saw something huge and silvery make its way towards her. In the late afternoon light, the moving shimmery mass was, well, shimmering and moving. Ursula's first thought was, "Oh, a huge manta ray!" Since mantras have black tops, however, she changed that to two mantas both showing their underbellies, perhaps in a mating dance. (Shows how the mind rationalizes when resisting the obvious most likely.)

She gave one more kick forward.

That's when she saw it.

A massive shark tail, frozen in place for a microsecond--then a flick.

Gone!

Never did see a shark attached to that FlagShip tail, but her guess was that a small tiger shark belonged to it.

As to your question: No, she didn't get a picture. Like. Are you KIDDING!?

Yes. Yet another shark sighting

The next dive was at Kuamo'o. This time it was Ursula who'd settled in to take photos of a tumored turtle being worked over by a toby fish. She clicked several pics before the toby bit at the turtle's eye, causing the honu to tuck his head under his ledge.

At that point, Ursula lowered her camera and turned towards Peter, who was simply standing in the sand watching her.

That's when she saw a huge shark swim just a few feet above Peter's right shoulder and swim casually la-dee-da towards her. This was the closest and longest look she'd ever have of such a SUCKEROFABIGFISH!


SUCKEROFABIGFISH!
36K JPEG
Fetches a 36K JPEG

It was gray and thick and since she noticed the tail wasn't like the one she'd seen the dive before, she felt this wasn't a tiger but something else. There also appeared to be a ridge down its side.

What was wonderful about this sighting was that, unlike the other two that only Ursula saw, Peter saw this one too. What follows is Peter's account from email sent to George Balazs.

"We went to Kuamo'o this morning and had just descended. We were in about 5-6 metres and Ursula was taking pictures of a turtle. I suddenly became aware that something big was above me. When I looked up, I saw a large shark, maybe 3 metres, swimming past us right overhead. Ursula saw it too.

"It swam away before there was any chance of a photo. We've been trying to decide what kind of shark it was, but we just aren't sure....

"...Grey body, white underside, tail looked more upright than a tiger's and not as large. No body marking that I could see.

"There were several turtles around but they did not act disturbed at all. We continued our dive but did not see it again."

After checking out Internet images of Hawaiian sharks, we concluded we saw a large Sandbar shark.

THIRD shark sighting of the week

Again, at Kuamo'o. This time it was a perfect shark. Small. Cute. A Charming and Welcome sight.


75 cm of adorable shark
37K JPEG
Fetches a 37K JPEG

From the Yes-we-saw-turtles-too Department: Kuamo'o foraging site confirmed

For the first time, we snorkelled Kuamo'o in the late afternoon to pick up on foraging turtles. The turtles were, as expected, hyper-wary and exceedingly difficult to approach.

We did get some pictures of poor quality, but good enough to prove our hunch that the honu we see about the Kuamo'o daytime resting complex use the shoreline rocks to feed on Pterocladiella as their forage "pasture."

Fetches a 38K JPEG
Fetches a 22K JPEG

2003 Turtle 112, a regression case, swimming over Kuamo'o in the mid-morning
38K JPEG

2003 Turtle 112, out-of-focus but identifiable, foraging on the shoreline rock at Kuamo'o near sunset
22K JPEG

Yes, precisely as expected. Still. Important to verify.

We decided that in the future, we wouldn't snorkel during the Kuamo'o honu's feeding time. These turtles aren't nearly as acclimated to our presence as the Honokowai ohana. It's best to leave them be.

Honokowai honu find better accomodations

This week, we've also confirmed that a significant number of the Honokowai ohana (those who used to rest at the Turtle House and North House) have shifted to the north.


Enjoying new northern digs
50K JPEG
Fetches a 50K JPEG

What with the loss of K17 Rock and especially Mount Balazs, it was no surprise. After we got an excellent look at the safety and protection that the volcanic ledge affords turtles, we concluded that if we were honu, you'd certainly find us resting there.

The water is gin-clear as well.

Fetches a 40K JPEG

New! Improved! Now with less silt! 0% murk!
40K JPEG

Shifting from resting in exposed Turtle Tramples in milky, hazy water to sparkling sunlit water and a luxurious rock ledge to boot must be like moving from a tenement slum to Park Avenue.

Fetches a 40K JPEG

This neighbourhood is definitely upscale
40K JPEG

Another thing: the foraging site is a lot closer!

While we must use a kayak to get to this place, we're really happy to see old friends use this upscale piece of Maui underwater real estate.

Very happy indeed.

So we've discovered one of the most beautiful dive spots we've ever seen. Best of all, we've found old ex-North House acquaintances mixed in with new honu strangers.

For the first time, we tied up our kayak and we both got off to snorkel with the turtles. To Ursula's surprise, the kayak was still there when we returned to it!


A kayak, yay! This will save us a heck of a long snorkel
28K JPEG
Fetches a 28K JPEG

This coming week, we plan to attempt our first SCUBA dive off our kayak. Who knows? We just might find Zeus.

While we're on the subject of kayaks...

Yesterday on our paddle back from our kayak snorkel, we saw a jet-ski burst its way toward us. As it got close, the 'ski slowed showing the words "LIFE GUARD" on its side.

The Life Guard called out to us and told us he'd gotten reports of a kayak in trouble--and had we seen any other kayak around here. We said no. We told him we'd been snorkelling just to the north. He revealed that that's where the kayak-in-trouble report had come from!

He continued further to the north then returned to tell us there was no other kayak. Clearly the kayak in trouble had been us!

The winds were indeed strong. While Ursula was in the water snorkelling, Peter strained his arms trying to keep the two-person kayak in position. He was forced to paddle constantly.

Anyone seeing this (especially with binoculars from a hotel to the north) would've concluded one occupant had fallen off the kayak and the remaining paddler was having a very tough time getting to that person to help!

We are grateful to whoever called the LIFEGUARD SERVICE to help us out. Even if we didn't need help. It is Very Reassuring to know that if we ever did need help, we'd receive assistance so promptly and so ably.

Speaking of help, one final note

This week, we made our annual summer visit to the Church of Maria Lanikila in Lahaina. Each year we light candles to give thanks for the year past. We figure it's important to acknowledge how lucky we are.

This summer saw an Add-On.


Ursula lit a candle for her sister, Margot
38K JPEG
Fetches a 39K JPEG

Ursula quietly gave thanks for having such a remarkable sister (Margot is Ursula's hero... and Peter's too, although Margot isn't Peter's sister) and also asked for good fortune in the coming year for Margot.

Fetches a 72K JPEG

There are times when The CareTaker needs Special Care
72K JPEG

Week 8 Summary
Summer of '05 at Honokowai
Who's Who Underwater at Honokowai
Table of Contents

Last modified 05/08/27
Send comments or corrections to webmaster@turtles.org